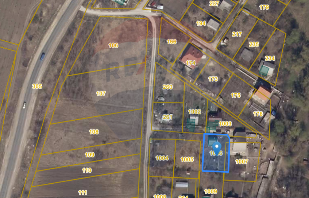
Lot pomicol de 6 ari în Ialoveni, cu construcție auxiliară.
Raion Ialoveni / Oraș Ialoveni / No sector / str. Bujorilor
Detalii
| Suprafață teren: 6 ari | Canalizare: Este canalizare | 
| Țevi de apă: Există o sursă de apă | Gazificare: Nu este gazificat | 
Facilități
- Amenajare străzi: Betonate, De pământ
- Amplasare teren: Amplasat în localitate, Alături de pădure
- Utilități teren: Curent, Apă, Canalizare
Descriere
Spre vânzare teren agricol amplasat în zona pomicolă a orașului Ialoveni, într-un sector liniștit și verde, potrivit pentru amenajarea unei reședințe de vacanță, grădină sau mică gospodărie.
Detalii despre proprietate:
Sistem de canalizare:Necentralizată
Avantaje:
Casă construită din materiale durabile.
 
                             
             Română
                                    Română
                                 Rusă
                                    Rusă
                                 Engleză
                                    Engleză
                                 
                                                         
                                                         
                                                         
                                                         
                                                         
                                                         
                                                         
                                                         
                                                         
                                                         
                                                         
                                                         
                                                         
                                                         
                                                         
                                                         
                                                 
                                                 
                                                 
                                                 
                                                 
                                                 
                                                 
                                                 
                                                 
                                                 
                                                 
                                                 
                                                 
                                                 
                                                 
                                                 
                                 
